Zum Inhalt Zum EPaper Zum Menü
Wetter
Abo E-Paper Club Shop Gutscheine Trauerportal Werbung
Suche
Steiermark Kärnten Leben Sport
Kleine Zeitung Logo Kleine Zeitung mit weißer Schrift auf rotem Hintergrund.

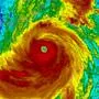
Nach Super-Taifun „Ragasa“

Evakuierungen: Ein neuer Sturm macht Kurs in Richtung Philippinen

Neue Sorge auf den Philippinen: Ein neuer Sturm droht auf Land zu treffen. Die Vorbereitungen laufen. In China trafen mächtige Wellen die Türen eines Hotels und überfluteten die Lobby.
Der Artikel für Sie zusammengefasst
Diese Zusammenfassung wurde künstlich erzeugt. Wir entwickeln dieses Angebot stetig weiter und freuen uns über Ihr Feedback.
  • Ein neuer Sturm namens „Bualoi“ nähert sich den Philippinen, was zu Evakuierungen und Schließungen von Schulen und Schifffahrtsverkehr führt.
  • Der Sturm „Bualoi“ könnte in der Region Bicol auf Land treffen und wird mit starken Regenfällen, heftigen Winden und Sturmfluten erwartet.
  • Die philippinische Wetterbehörde warnt vor möglichen Schlammlawinen am Vulkan Mayon aufgrund der erwarteten Starkregen.
  • Der Super-Taifun „Ragasa“ hat bereits in Südostasien Verwüstungen angerichtet und zieht nun in abgeschwächter Form nach Vietnam weiter.
  • In Taiwan und China verursachte „Ragasa“ Überschwemmungen und Erdrutsche, wobei die Suche nach Vermissten und die Versorgung der Betroffenen andauert.
„Bualoi“ könnte das Land treffen
© AFP/Cristy Gaffud
„Bualoi“ könnte das Land treffen
© AFP/Cristy Gaffud
25. September 2025,
9:15 Uhr

Sie wollen weiterlesen?

Dieser Inhalt ist exklusiv für Digitalabonnent:innen der Kleinen Zeitung.

Leider lassen Ihre derzeitigen Cookie-Einstellungen den Login und damit eine Überprüfung Ihres Abo-Status nicht zu. Eine Darstellung des Inhalts ist dadurch nicht möglich.

Wir verwenden für die Benutzerverwaltung Services unseres Dienstleisters Piano Software Inc. ("Piano"). Dabei kommen Technologien wie Cookies zum Einsatz, die für die Einrichtung, Nutzung und Verwaltung Ihres Benutzerkontos unbedingt notwendig sind. Mit Klick auf "Angemeldet bleiben" aktivieren Sie zu diesem Zweck die Verwendung von Piano und es werden über Ihren Browser Informationen (darunter auch personenbezogene Daten) verarbeitet.

Die Datenschutzinformation von Kleine Zeitung können Sie hier einsehen.

Werbung überspringen

Mehr zum Thema

Begraben unter Schlamm

27 Tote: Super-Taifun Ragasa verwüstet Taiwan und Philippinen

Schwere Schäden und Tote durch Super-Taifun Ragasa
Begraben unter Schlamm

Peking/Hongkong/Manila

Taifun Ragasa - Hongkong streicht Flüge

Höchste Taifun-Warnstufe in Asien ausgerufen | Höchste Taifun-Warnstufe in Asien ausgerufen
Peking/Hongkong/Manila

Bis zu 265 km/h

„Lebensbedrohlicher“ Super-Taifun „Ragasa“ steuert auf Philippinen zu

Hunderte Familien wurden in Schulen und Evakuierungscenter gebracht
Bis zu 265 km/h
Werbung überspringen
Anzeige
Werbung überspringen
Anzeige
 
Werbung überspringen
Anzeige
Werbung überspringen
Werbung überspringen
Steiermark
  • Ennstal
  • Graz & Umgebung
  • Leoben
  • Murtal & Murau
  • Mürztal
  • Oststeier
  • Süd & Südwest
  • Südost & Süd
  • Weiz
  • Weststeier
Kärnten
  • Klagenfurt
  • Feldkirchen
  • Lavanttal
  • Oberkärnten
  • Osttirol
  • St. Veit
  • Villach
  • Völkermarkt
Leben
  • Gesundheit
  • Mobilität
  • Ombudsfrau
  • Reise
  • Wohnen
  • Kulinarik
  • Karriere
  • Familie
Sport
  • Steirersport
  • Kärntnersport
  • Fußball
  • Tennis
  • Motorsport
  • Wintersport
  • Eishockey
Service
  • Hilfe
  • Autoren
  • Archiv
  • Spiele
  • Sudoku
  • Wetter
  • Club
Aktuelle Themen
  • Kleine Kinderzeitung
  • Gewinnspiele
  • Sudoku und Rätsel
  • Podcasts
  • Videos
  • Alpe Adria
  • Nahost
Meistgelesen und beliebt:
  • Pilnacek-Bekannte aufgenommen: „Es war ein Gespräch unter Erwachsenen“
  • Unerwartete Wende: Dieser Bäcker muss „Das große Promibacken“ verlassen
  • Glück beim ersten Versuch: Spieler gewinnt 7,7 Millionen Euro
  • Trump sieht Iran kurz vor Niederlage, Geheimdienste widersprechen + Spritpreise leicht gesunken + Masala: „Trump sucht nach Exit-Strategie“
  • Impressum
  • AGB
  • Datenschutz
  • Barrierefreiheitserklärung
© 2026, kleinezeitung.at | Kleine Zeitung GmbH | Alle Rechte vorbehalten.
Nutzung ausschließlich für den privaten Eigenbedarf. Eine Weiterverwendung und Reproduktion über den persönlichen Gebrauch hinaus ist nicht gestattet.
Werbung überspringen
Vielen Dank für Ihren Einkauf!
Klicken Sie auf den untenstehenden Button, um sich mit Ihrem Google-Konto anzumelden und loszulesen.