Zum Inhalt Zum EPaper Zum Menü
Wetter
Abo E-Paper Club Shop Gutscheine Trauerportal Werbung
Suche
Steiermark Kärnten Leben Sport
Kleine Zeitung Logo Kleine Zeitung mit weißer Schrift auf rotem Hintergrund.

Peking/Hongkong/Manila

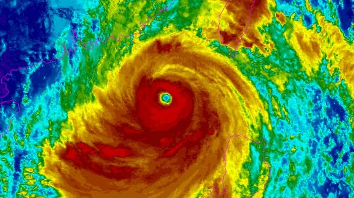
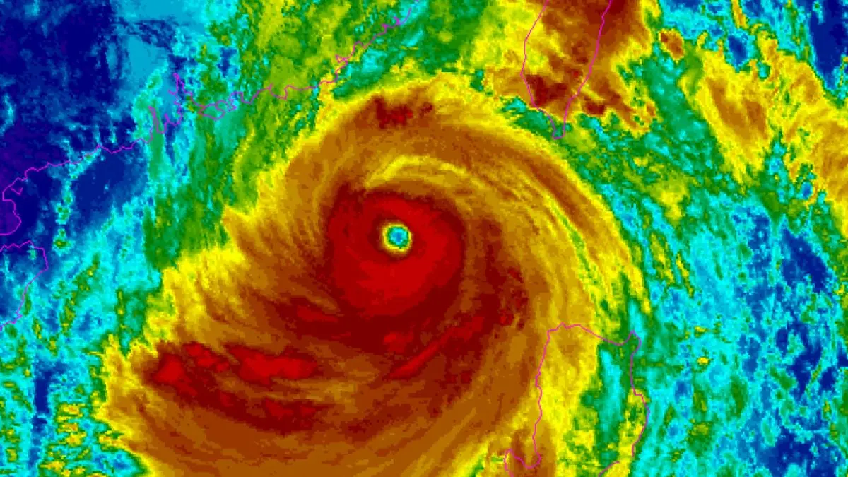
Taifun Ragasa - Hongkong streicht Flüge

Super-Taifun "Ragasa" sorgt in Asien bereits für massive Störungen im Flugverkehr. Allein Hongkongs Fluglinie Cathay Pacific erwartet nach eigenen Angaben, dass insgesamt mehr als 500 Verbindungen gestrichen werden müssen. Auch andere Airlines sagten zahlreiche Flüge ab. Die größten Auswirkungen des Taifuns auf den Flugverkehr werden für diesen Mittwoch erwartet.
Höchste Taifun-Warnstufe in Asien ausgerufen | Höchste Taifun-Warnstufe in Asien ausgerufen
© APA/National Oceanic and Atmospheric Administration National Environmental Satellite, Data, and Information Service (NOAA/NESDIS)
Höchste Taifun-Warnstufe in Asien ausgerufen
© APA/National Oceanic and Atmospheric Administration National Environmental Satellite, Data, and Information Service (NOAA/NESDIS)
23. September 2025,
8:37 Uhr

Sie wollen weiterlesen?

Dieser Inhalt ist exklusiv für Digitalabonnent:innen der Kleinen Zeitung.

Leider lassen Ihre derzeitigen Cookie-Einstellungen den Login und damit eine Überprüfung Ihres Abo-Status nicht zu. Eine Darstellung des Inhalts ist dadurch nicht möglich.

Wir verwenden für die Benutzerverwaltung Services unseres Dienstleisters Piano Software Inc. ("Piano"). Dabei kommen Technologien wie Cookies zum Einsatz, die für die Einrichtung, Nutzung und Verwaltung Ihres Benutzerkontos unbedingt notwendig sind. Mit Klick auf "Angemeldet bleiben" aktivieren Sie zu diesem Zweck die Verwendung von Piano und es werden über Ihren Browser Informationen (darunter auch personenbezogene Daten) verarbeitet.

Die Datenschutzinformation von Kleine Zeitung können Sie hier einsehen.

Werbung überspringen
Werbung überspringen
Anzeige
Werbung überspringen
Anzeige
 
Werbung überspringen
Anzeige
Werbung überspringen
Werbung überspringen
Steiermark
  • Ennstal
  • Graz & Umgebung
  • Leoben
  • Murtal & Murau
  • Mürztal
  • Oststeier
  • Süd & Südwest
  • Südost & Süd
  • Weiz
  • Weststeier
Kärnten
  • Klagenfurt
  • Feldkirchen
  • Lavanttal
  • Oberkärnten
  • Osttirol
  • St. Veit
  • Villach
  • Völkermarkt
Leben
  • Gesundheit
  • Mobilität
  • Ombudsfrau
  • Reise
  • Wohnen
  • Kulinarik
  • Karriere
  • Familie
Sport
  • Steirersport
  • Kärntnersport
  • Fußball
  • Tennis
  • Motorsport
  • Wintersport
  • Eishockey
Service
  • Hilfe
  • Autoren
  • Archiv
  • Spiele
  • Sudoku
  • Wetter
  • Club
Aktuelle Themen
  • Kleine Kinderzeitung
  • Gewinnspiele
  • Sudoku und Rätsel
  • Podcasts
  • Videos
  • Alpe Adria
  • Nahost
Meistgelesen und beliebt:
  • Journalist äußert Zweifel an Pilnaceks Todesumständen
  • Glück beim ersten Versuch: Spieler gewinnt 7,7 Millionen Euro
  • Unerwartete Wende: Dieser Bäcker muss „Das große Promibacken“ verlassen
  • Masala: „Trump sucht nach Exit-Strategie“ + UNHCR: Millionen Iraner seit Kriegsbeginn vertrieben + Israel droht Libanon mit Einnahme von Gebieten
  • Impressum
  • AGB
  • Datenschutz
  • Barrierefreiheitserklärung
© 2026, kleinezeitung.at | Kleine Zeitung GmbH | Alle Rechte vorbehalten.
Nutzung ausschließlich für den privaten Eigenbedarf. Eine Weiterverwendung und Reproduktion über den persönlichen Gebrauch hinaus ist nicht gestattet.
Werbung überspringen
Vielen Dank für Ihren Einkauf!
Klicken Sie auf den untenstehenden Button, um sich mit Ihrem Google-Konto anzumelden und loszulesen.